 
 
			|  | ECONOMIE Economia este o stiinta sociala ce studiaza productia si desfacerea, comertul si consumul de bunuri si servicii. Potrivit definitiei date de Lionel Robbins in 1932, economia este stiinta ce studiaza modul alocarii mijloacelor rare in scopuri alternative. Deoarece are ca obiect de studiu activitatea umana, economia este o stiinta sociala. | 
| StiuCum 
                  Home » ECONOMIE 
				  » economie comerciala | ||||||||||||||||||||||||||||||||||||||||||||||||||||||||||||||||||||||||||||||||||||||||||||||||||||||||||||||||||||||||||||||||||||||||||||||||||||||||||||||||||||||||||||||||||||||||||||||||||||||||||||||||||||||||||||||||||||||||||||||||||||||||||||||||||||||||||||||||||||||||||||||||||||||||||||||||||||||||||||||||||||||||||||||||||||||||||||||||||||||||||||||||||||||||||||||||||||||||||||||||||||||||||||||||||||||||||||||||||||||||||||||||||||||||||||||||||||||||||||||||||||||||||||||||||||||||||||||||||||||||||||||||||||||||||||||||||||||||||||||||||||||||||||||||||||||||||||||||||||||||||||||
| Raport de evaluare - spatiu comercial | ||||||||||||||||||||||||||||||||||||||||||||||||||||||||||||||||||||||||||||||||||||||||||||||||||||||||||||||||||||||||||||||||||||||||||||||||||||||||||||||||||||||||||||||||||||||||||||||||||||||||||||||||||||||||||||||||||||||||||||||||||||||||||||||||||||||||||||||||||||||||||||||||||||||||||||||||||||||||||||||||||||||||||||||||||||||||||||||||||||||||||||||||||||||||||||||||||||||||||||||||||||||||||||||||||||||||||||||||||||||||||||||||||||||||||||||||||||||||||||||||||||||||||||||||||||||||||||||||||||||||||||||||||||||||||||||||||||||||||||||||||||||||||||||||||||||||||||||||||||||||||||||
| RAPORT DE EVALUARE SPATIU COMERCIALSINTEZA EVALUARII OBIECTUL EVALUARII Proprietate imobiliara “Spatiu comercial” este situata in Alba Iulia, Bd. Transilvaniei, nr. 5B, jud. Alba, la parterul unui bloc de locuinte, cu suprafata utila de 59 mp. Proprietatea evaluata este inscrisa in CF nr. 71408-C1-U1 Municipiul Alba Iulia, Nr. Crt. A1, nr. Cadastral/nr. topografic: CAD-5425-C1-U2. Metodologia de calcul a “valorii de piata” a tinut cont de scopul evaluarii, tipul proprietatii si de prevederile Standardului International de Evaluare IVSC, ed. a VIII-a, 2007. Tipul de valoare estimate este valoarea de piata asa cum este definite in IVS 1 “suma estimata pentru care o proprietate va fi schimbata, la data evaluarii, intre un cumparator decis si un vanzator hotarat, intr-o tranzactie cu pretul determinat obiectiv, dupa o activitate de marketing corespunzatoare in care partile implicate au actionat in cunostinta de cauza, prudent si fara constrangere”. Raportul a fost structurat dupa cum urmeaza: Partea introductiva Premisele evaluarii – in care se gasesc principalele elemente cu caracter specific care delimiteaza modul de abordare al evaluarii Prezentarea datelor – in care sunt prezentate proprietatea imobiliara analizata, datele juridice, si studiul de vandabilitate Analiza datelor si concluziile – contine aplicarea metodei de evaluare, rezultatul obtinut si opinia evaluatorului Anexe – contin elemente care sustin argumentele prezentate in raport –proiect casa, fotografii ale proprietatii, copie extras CF. In urma aplicarii metodologiei de evaluare mai sus expuse, opinia evaluatorului referitoare la VALOAREA DE PIATA a proprietatii imobiliare evaluate este: 439.000 Lei (patrusutetreizecisinouamii lei) 106.000 Euro Cursul de schimb utilizat a fost 1 EUR= 4,1833, comunicat de BNR la data de 06.05.2010. Referitor la valoarea de mai sus mentionez: -   454c21e ; valoarea a fost exprimata tinand seama exclusiv de ipotezele, conditiile limitative si aprecierile exprimate in prezentul raport si este valabila in conditiile generale si specifice aferente perioadei aprilie-mai 2010 -   454c21e ; valoarea nu tine seama de responsabilitatile de mediu si de costurile implicate de conformarea la cerintele legale -   454c21e ; valorile sunt considerate in conditii de piata cash, integral la data tranzactiei Raportul a fost elaborat pe baza standardelor, recomandarilor si metodologiei de lucru recomandate de catre IVS. Cu stima, Evaluator Popa Laura 1.2.Certificare: Prin prezenta certific, ca elaborarea prezentului raport s-a facut in limita cunostintelor si informatiilor de piata detinute, iar concluziile si rezultatele sunt strict personale. Deasemenea certific ca: -   454c21e ; afirmatiile prezentate si sustinute in raport sunt corecte si adevarate -   454c21e ; analizele, opiniile si concluziile prezentate sunt limitate numai de ipotezele considerate si conditiile limitative specifice si sunt analizele, opiniile si concluziile mele personale, fiind nepartinitoare din punct de vedere personal. -   454c21e ; nu am nici un interes prezent sau de perspectiva in proprietatea imobiliara care face obiectul prezentului raport de evaluare si nici un interes sau influenta legate de partile implicate -   454c21e ; suma ce imi revine ca plata nu are nici o legatura cu declararea in raport a unei anumite valori, din evaluare, sau interval de valori care sa favorizeze clientul si nu este influentata de aparitia unui eveniment ulterior. -   454c21e ; analizele, opiniile si concluziile exprimate au fost realizate in conformitate cu cerintele din standardele, recomandarile si metodologia de lucru recomandate de catre ANEVAR. Evaluatorul a respectat codul deontologic al ANEVAR. La elaborarea acestui raport de evaluare nu s-a primit asistenta semnificativa din partea nici unei alte persoane in afara evaluatorului care semneaza mai jos. Semnatura, 2. PREMIZELE EVALUARII IPOTEZELE SI CONDITIILE LIMITATIVE La baza evaluarii stau o serie de ipoteze si conditii limitative, prezentate in cele ce urmeaza. Opinia evaluatorului este exprimata in concordanta cu aceste ipoteze si concluzii, precum si cu celelalte aprecieri din acest raport. Principalele ipoteze si limite de care s-a tinut seama in procesul de evaluare sunt urmatoarele: Ipoteze: -   454c21e ; Aspectele juridice se bazeaza exclusiv pe informatiile si documentele furnizate de catre proprietar fara a mai face verificari sau investigatii suplimentare. Dreptul de proprietate este considerat valabil si marketabil. -   454c21e ; Proprietatea este considerata si evaluata ca fiind libera de sarcini. -   454c21e ; Se presupune ca proprietatea se conformeaza tuturor reglementarilor si restrictiilor de zonare si utilizare in afara cazului in care a fost identificata o non-conformitate descrisa si luata in considerare in prezentul raport -   454c21e ; Se presupune ca imobilul respecta toate reglementarile si restrictiile in domeniul urbanismului avand toate aprobarile si avizele impuse de legislatia in vigoare -   454c21e ; Se considera ca imobilul nu prezinta vicii ascunse sau nevizibile la infrastructura, la structura de rezistenta, la instalatiile electrice, termice, care sa afecteze valoarea proprietatii. -     454c21e ;   
Aplicarea metodelor de evaluare se face luandu-se in
considerare datele disponibile pentru evaluator despre tranzactii si chirii
care se practica la data evaluarii in municipiul Alba  -   454c21e ; Situatia actuala a proprietatii imobiliare si scopul prezentei evaluari au stat la baza selectarii metodelor de evaluare si a modalitatilor de aplicare a acestora, pentru ca valorile rezultate sa conduca la estimarea cea mai probabila a valorii proprietatii in conditiile tipului valorii selectate. -   454c21e ; Evaluatorul considera ca presupunerile efectuate la aplicarea metodelor de evaluare au fost rezonabile in lumina faptelor ce sunt disponibile la data evaluarii si a utilizat in estimarea valorii numai informatiile pe care le-a avut la dispozitie existand posibilitatea existentei si a altor informatii de care evaluatorul nu avea cunostinte -   454c21e ; Proprietatea este in conformitate cu legislatia, regulamentele, reglementarile si normele aplicabile, in incinta proprietatii nu se desfasoara activitati care contravin reglementarilor nationale sau locale cu privire la protectia mediului, mostenirii culturale sau protectia populatiei -   454c21e ; Nu s-a tinut seama la realizarea evaluarii de o impartire a cladirilor in functie de gradul seismic -   454c21e ; Nu exista risc de inundatii, imobilul se afla amplasat intr-o zona unde nu exista ape curgatoare sau lacuri (naturale sau de acumulare) Conditii limitative: -   454c21e ; Orice valori estimate in raport se aplica intregii proprietati si orice divizare sau distribuire a valorii pe interese fractionate va invalida valoarea estimata, in afara cazului in care o astfel de distribuire a fost prevazuta in raport. -   454c21e ; Orice alocare de valori pe componente este valabila numai in cazul utilizarii prezentate in raport. Valori separate alocate nu trebuie folosite in legatura cu o alta evaluare si sunt invalide daca sunt astfel utilizate. -   454c21e ; Nici prezentul raport, nici parti ale sale (in special concluziile referitoare la valori, identitatea evaluatorului) nu trebuie publicate sau mediatizate fara acordul prealabil al evaluatorului. -   454c21e ; Intrarea in posesia unei copii a prezentului raport nu implica dreptul de publicare a acestuia. -   454c21e ; Evaluatorul prin natura muncii sale nu este obligat sa ofere in continuare consultanta sau sa depuna marturie in instanta relativ la proprietatea in chestiune. 2.2. OBIECTUL SI SCOPUL EVALUARII Imobilul obiect al prezentului raport de evaluare este o proprietate imobiliara “ Spatiul Comercial Nr. 2”, situata in Alba Iulia (Cartier Cetate), Bd. Transilvaniei, nr. 5B, jud. Alba. Scopul prezentului raport de evaluare este estimarea valorii de piata a activului evaluat asa cum este definita in IVS 1, in vederea vanzarii de catre proprietar. Avand in vedere statutul ANEVAR si Codul deontologic al profesiunii de evaluator, evaluatorul nu-si asuma raspunderea decat fata de client si destinatarul lucrarii. 2.3 DREPTURI DE PROPRIETATE EVALUATE A fost evaluat dreptul de proprietate al Sc Antonia Style SRL asupra « Spatiul commercial nr. 2 », cu Su de 59,25mp, si teren in cota indiviza cu drept de folosinta pe durata existentei constructiei. Documente care atesta dreptul de proprietate sunt : -   454c21e ; Contract de vanzare 28.12.2008, drept de proprietate, cu titlu de drept cumparare, dobandit prin Conventie, cota initiala de 1/1 parti, cota actual de 1/1. -   454c21e ; Extract de carte funciara nr 71408 – C1-U1, Alba Iulia Descriere drept de proprietate conform Extras de Carte Funciara dupa cum urmeaza : 1)   454c21e ; Date foaia de avere : Nr. cadastral 5425-C1-U2 ; Su = 59 mp ; Cote parti comune 39,15/192.58; cote teren 18.10/89 Statul Roman ; Observatii – spatiu comercial nr 2, situat la parter, compus din magazin haine de 56,06 mp, grup social de 3,17 mp cu suprafata totala de 59,25 mp 2)   454c21e ; Date despre proprietari : Proprietar SC Antonia Style, conforma ct de vanzare cumparare 2812.2008 3)   454c21e ; Date despre sarcini : Nu sun Evaluarea este facuta in ipoteza ca proprietatea este libera de sarcini. 2.4. BAZELE EVALUARII. TIPUL VALORII ESTIMATE Baza evaluarii o constituie informatiile obtinute pe piata imobiliara si metodologia de evaluare recomandata de IVS, Colectia Standarde Internationale de Evaluare, editia a VIII-a in special : ·   454c21e ; IVS 1 – Valoarea de piata – baze de evaluare ·   454c21e ; GN 1 – Evaluarea proprietatii imobiliare Tipul de valoare estimat este valoarea de piata, asa cum este definita in IVS 1 “suma estimata pentru care o proprietate va fi schimbata, la data evaluarii, intre un cumparator decis si un vanzator hotarat, intr-o tranzactie cu pretul determinat obiectiv, dupa o activitate de marketing corespunzatoare in care partile implicate au actionat in cunostinta de cauza, prudent si fara constrangere”. Prezentul raport de evaluare estimeaza valoarea de piata pentru utilizarea existenta, cea de locuinta, a proprietatii imobiliare analizate. 2.5 DATA ESTIMARII VALORII La baza evaluarii au stat informatiile privind nivelul preturilor corespunzatoare periodei aprilie-mai 2010, data la care se considera valabile ipotezele luate in considerare si valorile estimate de catre evaluator. Evaluarea a fost realizata la data de 15.04.2010, care este si data raportului. 2.6 MONEDA RAPORTULUI Conform solicitarii clientului, opinia va fi exprimata in Lei si Euro. 2.7 MODALITATI DE PLATA Valoarea exprimata ca opinie in prezentul raport de evaluare reprezinta suma care urmeaza a fi platita cash si integral in ipoteza unei tranzactii, fara a lua in calcul conditii de plata deosebite (rate, leasing, ipoteci). 2.8 INSPECTIA PROPRIETATII Inspectia imobilului s-a facut la data de 05.04.2010 la solicitarea proprietarului , de catre evaluator Popa Laura, in prezenta proprietarilor. Au fost preluate informatii referitoare la proprietatea de evaluat, s-au realizat descrieri, s-a fotografiat proprietatea etc. 2.9 INFORMATIILE UTILIZATE SI SURSE DE INFORMATII Pentru estimarea valorii de piata, evaluatorul a apelat la date privind piata spatiilor comerciale specifica zonei Alba Iulia – Cartier Cetate. Sursele de informatii au fost: ·   454c21e ; informatii privind piata imobiliara a municipiului Alba Iulia, obtinute de la agentii imobiliare: SC New Age SRL, SC Intermedia SRL, SC ProCasa SRL, Cody Ambient SRL ·   454c21e ; documentele si schitele privind imobilul, puse la dispozitie de catre client; ·   454c21e ; presa de specialitate (Publi Ulpia, ziarul Unirea) si evaluatori care isi desfasoara activitatea pe piata locala ·   454c21e ; informatii existente pe site-urile agentiilor imobiliare locale ·   454c21e ; cursul valutar comunicat de B.N.R; O parte din aceste documente si informatii au fost puse la dispozitia evaluatorului de catre client.Veridicitatea si corectitudinea informatiilor continute de acestea sunt in exclusivitate responsabilitatea celor care le-au furnizat. Din informatiile culese evaluatorul a selectat 3 proprietati imobiliare care s-au apropiat cel mai mult ca si caracteristici de proprietatea imobiliara in discutie, dintre acestea doua fiind in ofertare pe piata, si una singura fiind tranzactie certa. 2.10 CLAUZA DE NEPUBLICARE Datele si informatiile continute in prezentul raport sunt confidentiale, nu vor putea fi copiate in parte sau in totalitate si nu vor putea fi transmise unor terti fara acordul scris si prealabil al evaluatorului si al clientului (atat beneficiar cat si destinatar). 3. PREZENTAREA DATELOR 3.1. DESCRIEREA JURIDICA: Proprietarul imobilului evaluat este SC Antonia Style SRL, act de vanzare-cumparare, 28.12.2008; drept de proprietate, cu titlu de drept cumparare, dobandit prin Conventie, cota initiala de 1/1 parti, cota actuala de 1/1. Imobilul este inscris in CF nr. 71408-C1-U1 Municipiul Alba Iulia, Nr. Crt. A1, nr. Cadastral/nr. topografic: CAD-5425-C1-U2, suprafata utila 59 mp; cote parti comune 39,15/192,58; cote teren 18,10/89 Statul Roman, cu observatii/Referinte: Spatiul commercial nr. 2 situat la parter, compus din magazine haine de 56,06 mp, grup social de 3,17 mp cu suprafata totala de 59,25 mp. Conform extras CF nu sunt inscrieri privitoare la sarcini. Cu ocazia inspectiei proprietatii s-a observat ca nu exista diferente intre inscrisul din Cartea Funciara si realitatea de pe teren. Situatia de carte funciara rezulta din copia extrasului de carte funciara pentru informare nr. 71408-C1-U1 Municipiul Alba Iulia, provenita din conversia de pe hartie a CF Nr. 40549/Alba Iulia. 3.2. DESCRIEREA ZONEI SI A AMPLASAMENTULUI: Imobilul este situat in municipiul Alba Iulia, resedinta judetului Alba, in cartierul Cetate. Piata imobiliara din Alba  Cartierul Cetate este format la randul lui din mai multe zone, proprietatea de evaluat aflandu-se din acest punct de vedere in zona “comerciala-Cetate”, Bd. Transilvaniei pe care este amplasat imobilul fiind singurul bulevard pietonal din oras si cel mai mare bulavard comercial al Municipiului Alba Iulia, deci zona de amplasare este centrala, extrem de favorabila. Zona este atat rezidentiala cat si comerciala, blocurile de locuinte fiind P+4E, P+10E iar spatiile comerciale se gasesc la parterul acestor blocuri sau in cladiri independente. -   454c21e ; Artere importante de circulatie: Bdul 1 Decembrie 1918, Bdul Revolutiei 1989, str. Closca, Str. Vasile Goldis. -   454c21e ; Retea de transport in comun la mica distanta -   454c21e ; Unitati de invatamant(mediu/superior): Colegiul National “Horea, Closca si Crisan”, Universitatea 1 Decembrie 1918 -   454c21e ; Unitati medicale: la distanta mica Spitalul, Policlinica si cabinete medicale private -   454c21e ; Institutii de cult: la o distanta de cca. 300 m Catedrala Reintregirii Neamului -   454c21e ; Sedii de banci: la distanta de 200 m, Volksbank Romania – Agentia Cetate, B.C.R – Agentia Cetate, Banca Transilvania – Agentia Cetate, CEC Bank – Agentia Cetate etc. -   454c21e ; Muzee: la o distanta de 400 m, Muzeul Unirii, Sala Unirii -   454c21e ; Parcuri: Parcul Central Cetate la o distanta de 200 m -   454c21e ; Altele: Casa de Cultura, Hotel Cetate Utilitati edilitare: -   454c21e ; Retea de energie electrica: existenta -   454c21e ; Retea de apa: existenta -   454c21e ; Retea de gaze: existenta -   454c21e ; Retea de canalizare: existenta -   454c21e ; Retea urbana de telefonie: existenta Accesul in imobil se poate face din bd. Transilvaniei, bulevard pietonal. 3.3. DESCRIEREA AMENAJARILOR SI CONSTRUCTIILOR Tipul constructiei este “ Spatiu comercial”. Proprietatea de evaluat se afla la parterul unui bloc, cu un regim de inaltime S+P+2E+M, anul constructiei 2002 , bloc format atat la parter cat si restul etajelor din spatii comerciale si spatii birouri. Acoperisul este din sarpanta lemn, invelitoare azbociment. Spatiul comercial de evaluat are o suprafata utila (Su) de 59,25mp, suprafata construita (Sc) fiind de 70.8 mp, suprafata construita desfasurata (Sdc) de 70.8 mp. Inca de la inceput aceasta constructie a fost folosita ca spatiu comercial, anul constructiei fiind acelasi cu al blocului, 2002. Este o constructie realizata din: ·   454c21e ; fundatii continue din beton; ·   454c21e ; Structura: duala, cadre din beton armat si zidarie portanta ·   454c21e ; Tamplarie exterioara: din aluminiu cu geam termoizolant ·   454c21e ; Tamplarie interioara: din MDF furniruit ·   454c21e ; Pereti: a) de compartimentare: zidarie de caramida b) de inchidere: zidarie de caramida ·   454c21e ; Finisaje exterioare: tencuiala structurata si terasit ·   454c21e ; Finisaje interioare: pardoseala din gresie, tencuieli fin driscuite, gleturi, zugraveli lavabile, plafon decorative casetat ·   454c21e ; Instalatii de dotari incalzire: instalatie de incalzire cu centrala termica cu tiraj fortat, corpuri radiante din otel, instalatii intretinute bine ·   454c21e ; Instalatii si dotari alimentare cu apa: alimentare cu apa din reteaua municipiului, instalatii si dotari noi bine intretinute ·   454c21e ; Instalatii si dotari de alimentare cu gaze: alimentare cu gaz natural din reteaua municipiului, instalatii si dotari noi de calitate superioara bine intretinute. ·   454c21e ; Dotari electrice: sistem de alarmare antiefractie ·   454c21e ; Starea actuala: foarte buna Bilant de suprafata: -   454c21e ; Sala magazin de haine – 56,08 mp Su -   454c21e ; Grup social - 3,17 mp Su Total suprafata utila = 59,25 mp 3.5. ANALIZA PIETEI IMOBILIARE Piata imobiliara este un grup de persoane sau firme care sunt in contact unii cu altii cu scopul de a efectua tranzactii imobiliare. Tipul pietei imobiliare evaluate este piata spatiilor comerciale, situate in zona Cetate a municipiului Alba-Iulia. Piata imobiliara din Alba Iulia este o piata a cumparatorului incepand cu ultima parte a anului 2008. Piata este putin activa datorita scaderii numarului de tranzactii pe segmentul imobiliar. Incepand cu anului 2008 s-a remarcat o scadere a cererii fata de oferta pentru proprietati imobiliare similare in zona de amplasare a imobilului evaluat, datorita conjuncturii economice nationale cat si internationale, lucru resimtit la nivel de intreg judet si tara, astfel incat in prezent mai 2010 din punct de vedere edilitar zona este in stagnare. Daca la inceputul perioadei de criza economica, piata proprietatilor imobiliare se caracteriza ca una in expectativa, la momentul actual se caracterizeaza ca o piata cu o cerere solvabila redusa si un nivel de tranzactionare foarte redus. Previziunile indica o continuare a trendului descendent a evolutiei preturilor pe piata mentionata insa nu in acelasi ritm ca si pana acum, sau chiar o stagnare a acestora, datorita demararii procedurilor de creditare de catre banci. In concluzie, este greu de estimat echilibrul pietei in conditiile date (lipsa tranzactiilor), insa se poate spune ca favorizata este cererea solvabila. 3.5.1. ANALIZA CERERII:  Cererea reflecta necesitatile, dorintele materiale,
puterea de cumparare si preferintele consumatorilor. Daca pana in toamna anului
2008 puteam spune ca piata imobiliara a municipiului Alba- In conditiile in care nu se anticipeaza o relaxare a creditarii persoanelor fizice, principalii cumparatori pe aceasta piata, coroborat cu amplificarea dezechilibrelor legate de puterea de cumparare a populatiei generate de criza financiara, anticipam o continuare a scaderii cererii pentru proprietatile imobiliare de tip residential. 3.5.2. ANALIZA OFERTEI: Pe piata imobiliara oferta reprezinta numarul dintr-un tip de proprietate care este disponibil pentru vanzare sau inchiriere la diferite preturi, pe o piata data, intr-o anumita perioada de timp. Existenta ofertei pentru o anumita proprietatate la un anumit moment, anumit pret si un anumit loc indica gradul de raritate a acestui tip de proprietate. Se poate constata in ultimii ani o crestere a serviciilor oferite de firmele de cosntructii care folosesc tehnologii si utilaje performante, materiale moderne, si acestea datorita exigentelor tot mai mari ale cumparatorilor. Daca acum cativa ani ponderea apartamentelor construite era foarte mare fata de cea a caselor, in ultimii ani aceste ponderi au suportat schimbari, astfel numarul de case construite crescand de la un an la celalalt. Cu toate acestea, atat pe parcursul anului 2009 cat si pana in perioada curenta, s-au inregistrat extrem de putine tranzactii, datorita conjuncturii economice. Oferta mare, cerere redusa, in consecinta preturile au scazut. Chiar si cu preturile in cadere libera, numarul de tranzactii este mic iar cererea este din ce in ce mai redusa. Trendul acesta se va mentine si in continuare, in principal in functie de conditiile de creditare. Cumparatorii, loviti de scaderea ofertei de credite, au abordat o atitudine de expectativa, in asteptarea unor preturi si mai mici. Oferta a crescut in continuare, vanzatorii au scazut din nou preturile. Piata este in cvasi-blocaj, cu un numar redus de tranzactii. Acest lucru a facut ca identificarea de tranzactii de proprietati imobiliare relativ asemanatoare cu proprietatea de evaluat sa fie dificila, gasindu-se o tranzactie ferma, 4 oferte de vanzare ale unor agentii imobiliare si 5 oferte de inchiriat pentru proprietati similare cu proprietatea de evaluat. 
 Mp m 3.5.3. ECHILIBRUL PIETEI Echilibrul pe piata imobiliara este un punct teoretic, rareori atins. In prezent, piata imobiliara a municipiului Alba Iulia se afla in usor dezechilibru datorita ofertei mai mari decat cererea. Pretul proprietatilor de tip spatiu comercial variaza in zona intre 85.000 Eur – 120.000 Eur. Pretul/mp si chiriile variaza astfel: Min Max -   454c21e ; prêt tranzactie Eur/mp 1.300Eur/mp 1.900Eur/mp -   454c21e ; chirii Eur/MP 10Eur/mp 15Eur/mp Rata de capitalizare se situeaza intre 4,6% si 8,7% asa cum este demonstrat mai jos: CALCULUL RATELOR DE CAPITALIZARE pentru proprietati imobiliare-spatii comerciale 
 Rata de capitalizare am obtinut-o prin impartirea veniturilor nete din exploatare la pretul de vanzare: c = VNE / pret. Se va alege rata de capitalizare de 8%, corespunzatoare unui risc scazut. 4. ANALIZA DATELOR SI CONCLUZIILOR 4.1. CEA MAI BUNA UTILIZARE Scopul prezentei evaluari fiind estimarea valorii de piata, analiza celei mai bune utilizari identifica cea mai profitabila utilizare competitiva in care poate fi utilizata proprietatea. ‘Cea mai buna utilizare’ reprezinta alternativa de utilizare a proprietatii imobiliare selectate din diferite variante posibile, pentru a obtine un profit maxim. Cea mai buna utilizare se va considera atat pentru teren (in ipoteza ca ar fi liber) cat si pentru proprietatea imobiliara existenta (teren si constructiile de pe el) iar concluziile trebuie sa fie coerente. Pentru a fi luata in consideratie, cea mai buna utilizare trebuie sa indeplineasca patru criterii: Permisa legal – se analizeaza reglementarile privind zonarea, restrictii de construire, normativele de constructii, restrictiile privind constructiile din patrimoniu si siturile istorice, impactul asupra mediului. Posibila fizic – se analizeaza dimensiunile, forme, suprafata, structura geologica a terenului si accesibilitatea unui lot de teren, cat si riscul unor dezastre Fezabila financiar – se determina daca proprietatea produce un venit care sa acopere cheltuielile de exploatare, obligatiile financiare si amortizarea capitalului. Maximum productiva – cea mai buna utilizare été acea utilizare care conduc la cea mai mare valoare reziduala a terenului, in concordanta cu rata de fructificare a capitalului ceruta de piata pentru acea utilizare. In ceea ce priveste cea mai buna utilizare a terenului, vom avea in vedere : - terenul liber si -terenul construit. Vom alege terenul construit datorita faptului ca, in zona in care este amplasata proprietatea de evaluat terenurile libere pe care se poate construi sunt practic inexistente. Practic tinand cont de tipul constructiilor aferente proprietatii imobiliare, de dotarile existente si de amplasarea acesteia, cea mai buna alternativa posibila este cea de proprietate de tip rezidential. In aceasta situatie pot fi luate in considerare doua variante: -   454c21e ; Varianta 1: pastrarea destinatiei actuale de spatiu comercial -   454c21e ; Varianta 2: schimbarea destinatiei actuale in sediu firma SPATIU COMERCIAL Chirie lunara: 700 Euro/luna (12 Eur/mp x 59 mp suprafata utila) VBP Eur/an: 700 X 12 = 8.400 Eur/an Grad de neocupare = 0 deci, VBP = VPE = 8.400 Eur Chetuieli (taxe, asigurare, canalizare…..) = 10% X 8.400 = 840 Euro Cheltuieli variabile = VBP X 4% = 8.400 X 4% = 336 Eur Rezulta VN = 8.400 – 336 = 8.064 Eur Rata de capitalizare 8% (demonstrata mai sus) Valoare proprietate = 8.064 Eur / 8% = 100.800 Eur SEDIU FIRMA: Analizand chiriile pentru spatii de birouri in Alba Iulia, s-a constatat ca acestea variaza intre 5 – 15 Eur/mp de suprafata utila. Pentru proprietatea evaluata se va alege o chirie de 10 Eur/mp deoarece in zona respectiva cererea pentru sedii de firma este destul de redusa, predominand spatiile comerciale. Rezulta: VBP Eur/an: 59mp x 10Euro/mp x 12luni = 7.080 Euro/an -   454c21e ; Grad de neocupare = 0 deci, VBP = VBE = Eur -   454c21e ; Cheltuieli (taxe, asigurare,alte cheltuieli) = 10% X Eur = 708 Eur -   454c21e ; VNE = 7.080 – 708 = 6.372 Eur -   454c21e ; Rata de capitalizare: 6,8 % -   454c21e ; Valoare proprietate = 6.372 / 6,8 % = 93.705 Eur -   454c21e ; Cheltuieli conversie din spatiu cu destinatie spatiu comercial in spatiu de birouri = 2.000 Eur (estimate) -   454c21e ; Valoare proprietate = 93.705 – 2.000 = 91.705 Eur Calculul ratei de capitalizare pentru sediu firma: Rata de capitalizare de 6,8 % s-a obtinut analizand proprietatea 5 (tratata la capitolul 3.5.3), cu caracteristici asemanatoare cu proprietatea de evaluat, ca si potential sediu de firma. S-a considerat o chirie lunara pentru sedii de firma de 13 Eur/mp de suprafata utila, corespunzatoare unei zone in care exista cerere pentru sedii de firma, astfel incat se obtin urmatoarele date: -   454c21e ; VBP/an = VBE/an = 13 Eur x 59 mp x 12 = 9.204 Eur (grad de neocupare zero) -   454c21e ; Cheltuieli fixe = 250 Eur -   454c21e ; Cheltuieli variabile (4% din VBE) = 4% x 9.204 = 368 Eur -   454c21e ; Impozit pe venit/an = 1.472 Eur -   454c21e ; Total cheltuieli = 250 + 368 + 1.472 = 2.090 Eur -   454c21e ; VNE = 9.204 – 2.090 = 7.114 Eur -   454c21e ; C = 7.114 / 105.000 x 100 =6.8 % Dupa cum se observa aceasta ultima varianta este mai putin rentabila, ea implicand costuri ridicate pentru o recompartimentare mai judicioasa a spatiului si pentru dotarile aferente, in plus orice modificari structurale facand necesara expertizarea constructiei. De asemenea, in zona de amplasare a proprietatii ( zona predominant de spatii comerciale) exista o cerere redusa pentru spatii cu destinatie birouri si eventuala conversie s-ar dovedi nerentabila. In aceasta situatie cea mai buna utilizare a proprietatii analizate este cea prezentata in varianta 1, respectiv cea actuala, aceea de spatiu comercial. Analizand aceasta alternativa putem spune ca toate cele patru criterii amintite mai sus sunt indeplinite pentru proprietatea evaluata. In concluzie cea mai buna utilizare a proprietatii in cauza este ca spatiu comercial. 4.2 METODE DE EVALUARE Pentru stabilirea valorii de piata a imobilului supus evaluarii vom utiliza urmatoarele abordari : Abordarea prin comparatia vanzarilor Metoda comparatiilor de piata este o metoda globala care aplica informatiile culese urmarind raportul cerere-oferta pe piata imobiliara, reflectate in mass – media sau alte surse de informare. Aceasta metoda a fost aplicata tinand seama de tipul proprietatii imobiliare evaluate si de gradul ridicat de adecvare a aplicarii metodei in acest caz. Estimarea valorii s-a facut prin analizarea pietei pentru a gasi proprietati similare, comparand apoi aceste proprietati cu cea „de evaluat”. Procesul de comparare ia in considerare asemanarile si deosebirile intre proprietatea „de evaluat” si celelalte proprietati deja tranzactionate sau care sunt ofertante pe piata la data evaluarii, despre care exista informatii suficiente. Pentru estimarea valorii proprietatii prin aceasta metoda, evaluatorul a apelat la informatiile provenite din tranzactiile de proprietati asimilabile celui de evaluat. Abordarea prin venit Abordarea prin venit calculeaza valoarea actualizata a beneficiilor viitoare care decurg din dreptul de proprietate imobiliara. Venitul si Valoarea unei proprietati poate fi capitalizata intr-o valoare actualizata estimata si prin veniturile viitoare aduse proprietarului (profit net, chirie, cash flow net, etc.). Din punct de vedere conceptual, abordarile prin venit sunt in deplina concordanta cu definitia contabila a activelor, respectiv ca acestea trebuie sa genereze beneficii viitoare pentru propietarul lor. Esenta abordarii este analizarea veniturilor si cheltuielilor proprietatii evaluate ca si pentru cele concurente, intocmirea unui flux de numerar, bazat pe contul de profit si pierdere din exploatare corectat, eliminarea rezultatelor speciale. Scopul acestei etape este de-a exprima venitul care poate fi obtinut de proprietate si care va fi capitalizat/actualizat pentru a exprima valoarea. Acest venit poate fi cel reprezentativ, dintr-un singur an ( metoda capitalizarii ) sau cel obtenabil intr-o perioada de previziune ( metoda fluxurilor financiare actualizate DCF). Metoda aleasa de noi este metoda fluxurilor financiare actualizate. Abordarea prin 4.2.1 ABORDAREA PRIN COMPARATII 4.2.1.1 METODA COMPARATIEI DIRECTE Metoda comparatiilor de piata utilizeaza analiza comparativa. Estimarea valorii de piata se face prin analizarea pietei pentru a gasi proprietati similare si compararea acestora cu cea care trebuie evaluata. Premiza majora a metodei este aceea ca valoarea de piata a unei proprietati imobiliare este in relatie directa cu preturile unor proprietati competitive si comparabile. Analiza comparativa se bazeaza pe asemanarile si diferentele dintre proprietati si tranzactii care influenteaza valoarea. Este o metoda globala care aplica informatiile culese urmarind procesul cerere-oferta pe piata imobiliara, reflectate in mass-media sau alte surse de informare. Pentru estimarea valorii proprietatii imobiliare prin aceasta metoda evaluatorul a apelat la informatii asupra catorva tranzactii a unor proprietati comparabile. In cazul proprietatii imobiliare evaluate, analiza s-a facut pe baza datelor si informatiilor rezultate din identificarea a trei tranzactii relativ recente si a caror caracteristici sunt prezentate alaturat. Imobilele comparabile selectate din tabelul de la pag 12 sunt: Proprietatea A – Spatiu comercial situat in Cetate, zona Bd. Transilvaniei, la parter de bloc cu suprafata utila de 62 mp, finisaje superioare, tranzactie finalizata in martie 2010 la pretul de 115.000 euro, de catre agentia imobiliara Cody Ambient SRL Proprietatea B – Spatiu comercial situat in Cetate, zona Bd. Transilvaniei, la parter de bloc, cu suprafata de 65 mp, finisaje superioare, oferta de vanzare in mai 2010 la pretul de 115.000 euro, de catre agentia imobiliara Intermedia SRL. Proprietatea C – Spatiu birouri situat in Cetate, zona Piata-Mercur, la parter de bloc, cu suprafata de 54 mp, finisaje medii, tranzactie finalizata aprilie 2010 la pretul de 70.000 euro, de catre agentia imobiliara Intermedia SRL. Proprietatea D - Spatiu comercial situat in Cetate, zona Piata-Mercur, la parter de bloc, cu suprafata de 48 mp, finisaje superioare, oferta de vanzare in mai 2010 la pretul de 75.000 euro, de catre agentia imobiliara Intermedia SRL. Proprietatea E - Spatiu comercial situat in Cetate, zona Parcul Central-Catedrala, la parter de bloc, cu suprafata de 52 mp, finisaje superioare, oferta de vanzare in mai 2010 la pretul de 65.000 euro, de catre agentia imobiliara Intermedia SRL. Criteriul de comparatie este pretul pe mp util de constructie, pentru proprietatea A – 1.855 euro, proprietatea B – 1.769 euro, proprietatea C – 1.296 euro, proprietatea D – 1.562 Euro, E – 1.250 Euro. Datele de comparatie si cele de ajustare sunt expuse in tabelul de mai jos. S-au trecut in revista elemente de comparatie necesare a fi utilizate pentru ajustarea tranzactiilor recente. Observam ca proprietatile comparabile difera de proprietatea de evaluat prin anumite caracteristici cum ar fi: suprafata utila, suprafata vitrina, finisaje, data tranzactiei. Toate aceste diferente necesita niste corectii. Prin insumarea valorilor absolute a corectiilor (valoarea bruta) si calculand suma algebrica a acelorasi corectii (valoarea neta), se poate estima valoarea proprietatii de evaluat. In continuare este prezentata grila datelor de piata, in care au fost prelucrate, sintetizate si utilizate toate elementele de comparatie relevante, care justifica corectiile aplicate asupra preturilor de vanzare pentru fiecare proprietate similara comparabila cu cea de evaluat. 
 Explicatii corectii: Ø   454c21e ; Pentru a aplica corectii la conditiile pietei, am obtinut informatii de la agentii imobiliare si astfel am corectat proprietatile B si C cu -7% . -   454c21e ; Exemplu : Spatiu comercial, Su 69mp, zona Cetate Piata, finisaje superioare, prêt ofertare februarie 2010, 80.000 eur, prêt tranzactionare martie 2010 , 74.500Eur ; rezulta o diferenta intre pretul de ofertare si cel de tranzactionare de aprox. 7%. Spatiu comercial, Su 58mp, zona Cetate Closca, finisaje superioare, prêt ofertare ianuarie 2010, 65.000 eur, prêt tranzactionare martie 2010 , 61.000 Eur ; rezulta o diferenta intre pretul de ofertare si cel de tranzactionare de aprox. 6%. Ø   454c21e ; Pentru localizare, am aplicat corectia de +10% proprietatii aflata in zona Bd. Revolutiei Piata-Mercur, deoarece este considerata o zona cu un vad mai scazut decat zona Bd. Transilvaniei -   454c21e ; Exemplu : Spatiu comercial, Su 67mp, zona Bd. Revolutiei Cetate Piata, finisaje superioare, prêt tranzactionare februarie 2010 , 75.000Eur ; Spatiu comercial, Su 65 mp, zona Cetate Bd. Transilvaniei, finisaje superioare, prêt tranzactionare februarie 2010, 82.500, de unde rezulta o diferenta de zona de 10% . Ø   454c21e ; Pentru a aplica corectii la stare tehnica si finisaje am luat in calcul faptul ca pretul mediu de gresie si faianta pe mp este 50 lei, aprox. 13 eur/mp, si astfel am corectat proprietatea C cu 13Eur. Ø   454c21e ; In ceea ce priveste suprafata vitrinei s-a procedat la corectarea proprietatilor A, B si C, -2%, -4% respectiv +4% in functie de informatiile obtinute de la agentiile imobiliare. Ø   454c21e ; S-a efectuat corectie pentru cea mai buna utilizare la comparabila C, corectia fiind de 10%. Am folosit aceasta corectie apeland la informatii provenite de la agentii imobiliare. Exemplu : Spatiu birouri, zona Cetate-Piata Fortuna, Su 62 mp, finisaje superioare, prêt tranzactie ianuarie 2010, 68.000 Eur . Spatiu comercial, zona Cetate-Piata Mercur, Su 65 mp, finisaje superioare, prêt tranzactie februarie 2010, 85.000 Eur . Rezulta o diferenta de aprox. 20% intre pretul tranzactionat al spatiului de birouri si al spatiului comercial, ele fiind tranzactionate in aceeasi perioada si avand aproximativ aceleasi caracteristici. Concluzie: Se observa ca proprietatea 1 inregistreaza cea mai mica corectie procentuala (2,00%), deci se va alege un pret pe mp de 1.818 Euro. Rezulta de aici ca valoarea proprietatii estimate prin metoda comparatiilor directe este : V cd (rotunjit) = 1.818 euro x59 = 107.000 Eur echivalent 107.000 Eur x 4,1833 = 447.600 lei 4.2.2 ABORDAREA PE BAZA DE VENIT 4.2.2.1 Metoda capitalizarii directe Aceasta metoda confera o anumita valoare unui bun sau proprietati cumparate numai in masura in care investitorul realizeaza o satisfactie din achizitia respectiva. In cazul proprietatii aceasta satisfactie se reflecta prin castigurile viitoare realizate din exploatarea obiectului proprietatii. Problemele metodologice si practice de rezolvat: ·   454c21e ; Determinarea marimii fluxului anual reproductibil ·   454c21e ; Stabilirea ratei de capitalizare sau a coeficientului multiplicator Estimarea ratei de capitalizare se face prin metoda comparatiei directe, care are la baza o analiza a tranzactiilor recente de proprietati comparabile. Pentru estimarea ratei generale de capitalizare au fost analizate 5 proprietati, amplasate in zona, dupa cum urmeaza: Rata de capitalizare – spatii comerciale 
 Rata de capitalizare am obtinut-o prin impartirea veniturilor nete din exploatare la pretul de vanzare: c = VNE / pret. Se va alege rata de capitalizare de 8%, corespunzatoare unui risc scazut. Profitul net anual reproductibil este definit prin veniturile nete ce le poate genera activul. Pentru determinarea acestuia veniturile lunare luate in calcul au fost bazate pe chiria care s-ar putea obtine prin inchirierea cladirilor la un nivel al preturilor practicat pe piata la aceasta data in zona respectiva. 
 Se observa ca proprietatile 4 si 5 din tabel aflate in ofertare si care au caracteristici asemenantoare si sunt situate in aceeasi zona comerciala cu proprietatea de evaluat, au pretul chiriei pe mp de 12,5 Euro, respectiv 11,7 Euro. Astfel vom alege un pret al chiriei pentru proprietatea noastra de 12 euro/mp. VNP = 59 mp x 12 euro/mp x 4,1833 lei/euro x 12 luni 35.541 lei Rata de capitalizare (t) reprezinta relatia dintre castig si valoare si este un divizor prin intermediul caruia un venit net se transforma in capital. Coeficientul multiplicator K (inversul ratei de capitalizare) exprima numarul de ani de profituri nete pe care cumparatorul este dispus sa le plateasca. S-a ales o rata de capitalizare de 8% corespunzatoare unui risc scazut. V = VNP x K K= 1/c (c= rata de capitalizare) = 1/8% = 12.5 Rezulta V = VNP x 12.5 = 35.541 x 12.5 = 444.262 Lei Rezulta ca valoarea proprietatii va fi: V venit (rotunjit) = 35.541 lei x 12,5 = 444.000 lei echivalent 106.000 Euro 4.5. RECONCILIEREA REZULTATELOR. OPINIA EVALUATORULUI In urma aplicarii metodelor de evaluare prezentate anterior au fost obtinute urmatoarele valori: Valoarea obtinuta prin metoda comparatiilor directe: 107.000 Euro echivalent a447.600 lei Valoarea obtinuta prin metoda capitalizarii veniturilor: 106.000 Euro echivalent a 443.500 lei Opinia evaluatorului pentru proprietatea de evaluat este cea determinata prin metoda capitalizarii veniturilor, adica : 443.500 Lei (patrusutepatruzecisitreidemiicincisute lei) 106.000 Euro Valoarea de piata estimata pentru care evaluatorul si-a exprimat optiunea se bazeaza pe urmatoarele argumente: - imobilul evaluat se afla intr-o zona a orasului cu puternic vad comercial, unde spatiile comerciale se inchiriaza la preturi foarte bune si relativ repede, ele fiind mai avantajos de inchiriat decat de vandut. De aceea au fost identificate destule spatii comerciale inchiriate, fata de tranzactii ferme cu astfel de proprietati in zona mentionata (bd. Transilvaniei) In analiza si reconcilierea rezultatelor s-au avut in vedere urmatoarele principii: -   454c21e ; valoarea este subiectiva -   454c21e ; valoarea este o predictie -   454c21e ; opinia de mai sus nu prezinta valoarea pentru asigurare. -   454c21e ; evaluarea este o comparare Caracteristicile valorii estimate sunt: -   454c21e ; pretul de vanzare se va putea situa sub sau peste aceasta valoare functie de raportul cerere / oferta la data tranzactiei. ANEXE ANEXA Nr. 1 Plan de incadrare in zona ANEXA Nr. 2 Plan de situatie ANEXA Nr. 3 Releveu spatiu commercial ANEXA Nr. 4 Extras de carte funciara ANEXA Nr. 5 Extrase privind preturile pe segmentul de piata al proprietatii ANEXA Nr. 6 Extrase privind chiriile pe segmentul de piata al proprietatii ANEXA Nr. 7 Fotografii ANEXA Nr. 1 Plan de incadrare in zona 
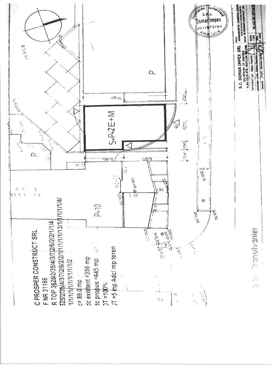
 ANEXA Nr. 2 Plan de situatie 
 ANEXA Nr. 3 Releveu spatiu commercial 
 ANEXA Nr. 4 Extras de carte funciara 
 
 
 ANEXA Nr. 5 Extrase privind preturile pe segmentul de piata al proprietatii Comparabila 1 
 
 
 Fotografii Comparabila 1: 
 
 
 Comparabila 2 
 
 
 ANEXA Nr. 5 Extrase privind chiriile pe segmentul de piata al proprietatii 
 
 
 
 
 
 
 
 
 ANEXA Nr. 6FOTOGRAFII 
 
 | ||||||||||||||||||||||||||||||||||||||||||||||||||||||||||||||||||||||||||||||||||||||||||||||||||||||||||||||||||||||||||||||||||||||||||||||||||||||||||||||||||||||||||||||||||||||||||||||||||||||||||||||||||||||||||||||||||||||||||||||||||||||||||||||||||||||||||||||||||||||||||||||||||||||||||||||||||||||||||||||||||||||||||||||||||||||||||||||||||||||||||||||||||||||||||||||||||||||||||||||||||||||||||||||||||||||||||||||||||||||||||||||||||||||||||||||||||||||||||||||||||||||||||||||||||||||||||||||||||||||||||||||||||||||||||||||||||||||||||||||||||||||||||||||||||||||||||||||||||||||||||||||
| Politica de confidentialitate |